Amtliche Bekanntmachung
AB 3/2022 Aufstellung des Bebauungsplanes „Tonberg“
Bauleitplanung der Hochschulstadt Geisenheim
Aufstellung des Bebauungsplanes „Tonberg“
Öffentliche Auslegung gem. § 3 (2) Baugesetzbuch (BauGB)
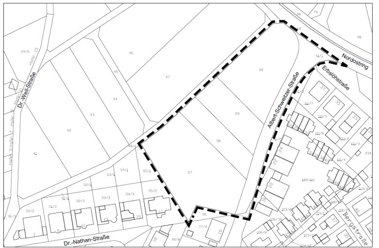
Die Stadtverordnetenversammlung der Hochschulstadt Geisenheim hat in ihrer Sitzung am 16.12.2021 die Aufstellung des Bebauungsplanes „Tonberg“ beschlossen. Ziel der Aufstellung ist die Ausweisung neuer Wohnbauflächen an der Albert-Schweitzer-Straße. Das Plangebiet liegt im nordöstlichen Bereich der Kernstadt und grenzt an den Außenbereich an. Der Geltungsbereich beinhaltet die Flurstücke 57, 58, 59 und 60, der Flur 62, sowie Teile der Straßenparzelle 61/1, Gemarkung Geisenheim.
Die Bebauungsplanänderung erfolgt gemäß § 13 b BauGB im beschleunigten Verfahren. Auf die Durchführung einer Umweltprüfung nach § 2 Abs. 4 BauGB und die Erstellung eines Umweltberichtes wird verzichtet.
Der Bebauungsplanentwurf mit zugehöriger Begründung liegt gem. § 13 b BauGB in Verbindung mit § 3 Abs. 2 BauGB in der Zeit von
Freitag, dem 14.01.2022 bis einschl. Montag, dem 14.02.2022,
montags bis donnerstags von 8.00 Uhr - 12.00 Uhr
und von 14.00 Uhr - 16.00 Uhr
sowie nach Terminvereinbarung - 19.00 Uhr
sowie freitags von 8.00 Uhr - 12.00 Uhr
im Bauamt der Hochschulstadt Geisenheim, Winkeler Straße 46, im Bürgerflur des 1. Obergeschosses zur Einsicht öffentlich aus.
Folgende Arten umweltbezogener Informationen sind verfügbar:
l Artenschutzgutachten
l CEF-Konzeption
Während der genannten Auslegungsfrist können Stellungnahmen zum Bebauungsplanentwurf schriftlich oder während der Dienststunden zur Niederschrift vorgebracht werden. Die fristgerecht abgegebenen Stellungnahmen werden geprüft und der Stadtverordnetenversammlung zur Entscheidung vorgelegt. Das Ergebnis wird mitgeteilt. Nicht fristgerecht abgegebene Stellungnahmen können bei der Beschlussfassung unberücksichtigt bleiben.
Die ortsübliche Bekanntmachung und die auszulegenden Unterlagen können auch auf der Internetseite der Hochschulstadt Geisenheim (www.geisenheim.de) und im Zentralen Internetportal für die Bauleitplanung des Landes Hessen (https://bauleitplanung.hessen.de) eingesehen werden.
Im Rahmen der Abgabe einer Stellungnahme werden personenbezogene Daten, insbesondere Name, Anschrift, Telefonnummer, die allein zur Information über das durchgeführte Verfahren dienen, verarbeitet. Mit dieser Verarbeitung erklären Sie sich mit Abgabe der Stellungnahme einverstanden. Die Planungsgruppe Darmstadt, Alicenstraße 23, 64293 Darmstadt, ist mit der Auswertung der Stellungnahmen beauftragt. Sie willigen ein, dass die Hochschulstadt Geisenheim und das o.g. Büro Ihnen postalisch oder per Mail Informationen zum durchgeführten Verfahren zukommen lassen. Sie sind gemäß Art. 15 Datenschutzgrundverordnung (DSGVO) jederzeit berechtigt, gegenüber der Hochschulstadt Geisenheim und dem o.g. Büro um umfangreiche Auskunftserteilung zu den zu Ihrer Person gespeicherten Daten zu ersuchen. Gemäß Art. 17 DSGVO können Sie jederzeit gegenüber der Hochschulstadt Geisenheim und dem o.g. Büro die Berichtigung, Löschung und Sperrung einzelner personenbezogener Daten Verlangen.
Bitte beachten Sie, dass der Besuch des Bauamtes der Hochschulstadt Geisenheim aufgrund der aktuellen Corona-Pandemie eventuell Einschränkungen unterliegen kann. Dennoch ist eine ungehinderte Einsichtnahme in die Bebauungsplanunterlagen im Rahmen der oben genannten Zeiten möglich. Aus Schutzgründen könnte jedoch in den nächsten Wochen, je nach Entwicklung, um vorherige Terminvereinbarung gebeten werden. Dabei kann grundsätzlich auch eine Einsichtnahme außerhalb der genannten Zeiten vereinbart werden. Es wird darauf aufmerksam gemacht, dass aus aktuellem Anlass die geltenden Abstands- und Hygieneregelungen anzuwenden sind.
Der beigefügte Übersichtsplan soll dem besseren Verständnis der Bekanntmachung dienen. Er hat keine Rechtsverbindlichkeit und kennzeichnet nur die Lage des Plangebietes.
65366 Geisenheim, den 21.12.2021 DER MAGISTRAT
- FB IV/2-Fi-
Christian Aßmann
Bürgermeister

Geltungsbereich des Bebauungsplanes „Tonberg“, ohne Maßstab
